Großes Baugrundstück mit Fernblick neben der Österreichischen Grenze
Ort: HUN-9421 Fertörakos
Kaufpreis: € 65.000
Objekt:
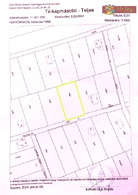
Dieses große Baugrundstück ist nach allen Seiten offen und frei gelegen.
Der Blick ist unverbaubar und in leichter Höhenlage und somit trocken.
Da direkt an der Zufahrt gelegen, ist eine Bebauung problemlos möglich.
Die Zufahrtstrasse ist eine reine Anliegerstrasse und endet auf der Kuppe dieses flachen Berges.
Das Grundstück ist sonnenbeschienen und hat einen freien Blick in Richtung des Tales unnd in die Ferne.
Die Lage ist perfekt und nur wenige Kilometer von der Oesterreichischen Grenze bei St. Margarethen entfernt.
This plot of land with building rights is open to all sides.
The views are and will be unobstracted further on, the panorama is beautiful and offers a view all the way also to the Austrian side.
The little street has a dead end and is only used to access the plots of land around.
But offers the size to do the construction work on a house without of any difficulties.
This piece of land is only a few kilometers away from the Austrian border near St. Margarethen.
Der Blick ist unverbaubar und in leichter Höhenlage und somit trocken.
Da direkt an der Zufahrt gelegen, ist eine Bebauung problemlos möglich.
Die Zufahrtstrasse ist eine reine Anliegerstrasse und endet auf der Kuppe dieses flachen Berges.
Das Grundstück ist sonnenbeschienen und hat einen freien Blick in Richtung des Tales unnd in die Ferne.
Die Lage ist perfekt und nur wenige Kilometer von der Oesterreichischen Grenze bei St. Margarethen entfernt.
This plot of land with building rights is open to all sides.
The views are and will be unobstracted further on, the panorama is beautiful and offers a view all the way also to the Austrian side.
The little street has a dead end and is only used to access the plots of land around.
But offers the size to do the construction work on a house without of any difficulties.
This piece of land is only a few kilometers away from the Austrian border near St. Margarethen.
Lage:
Wien und auch der Flughafen Wien sind nur eine Stunde entfernt,.
Vienna and the airport are only an hour drive away.
Vienna and the airport are only an hour drive away.
Sonstiges:
***ACHTUNG*** Unbedingt beachten !!
Aufgrund der Vereinbarung mit den Immobilieneigentümern sind wir dazu verpflichtet die vollständigen Adressdaten eines Interessenten zu hinterlegen, bevor wir detaillierte Objektinformationen weitergeben dürfen.
Bitte teilen Sie uns daher Ihren Namen, Ihre derzeitige Anschrift, E-Mailadresse und eine Telefonnummer mit.
Wir werden Ihnen die gewünschten Informationen dann umgehend zukommen lassen.
Sollten wir oben angeführte Informationen nicht erhalten, können wir Ihre Anfrage leider nicht bearbeiten.
**Unsere Kompetenz ist Ihr Vorteil**
Wir bieten Ihnen ein Rundumservice bis hin zur Vertragserstellung, Treuhandabwicklung und natürlich Grundbuchseintragung.
Sie ersparen sich viele Wege und finden bei uns alles unter einem Dach.
Angegebene Daten und Maße wurden uns vom Eigentümer bzw. aus den Branchenüblichen Datenquellen entnommen.
Wir übernehmen keinerlei Haftung für nicht von uns vermessenen Flächen, bzw. Daten welche durch Unterlagen belegt werden können.
Es gelten ausschließlich die Angaben, welche in einem Kauf- Mietvertrag angegeben werden.
Aufgrund der Vereinbarung mit den Immobilieneigentümern sind wir dazu verpflichtet die vollständigen Adressdaten eines Interessenten zu hinterlegen, bevor wir detaillierte Objektinformationen weitergeben dürfen.
Bitte teilen Sie uns daher Ihren Namen, Ihre derzeitige Anschrift, E-Mailadresse und eine Telefonnummer mit.
Wir werden Ihnen die gewünschten Informationen dann umgehend zukommen lassen.
Sollten wir oben angeführte Informationen nicht erhalten, können wir Ihre Anfrage leider nicht bearbeiten.
**Unsere Kompetenz ist Ihr Vorteil**
Wir bieten Ihnen ein Rundumservice bis hin zur Vertragserstellung, Treuhandabwicklung und natürlich Grundbuchseintragung.
Sie ersparen sich viele Wege und finden bei uns alles unter einem Dach.
Angegebene Daten und Maße wurden uns vom Eigentümer bzw. aus den Branchenüblichen Datenquellen entnommen.
Wir übernehmen keinerlei Haftung für nicht von uns vermessenen Flächen, bzw. Daten welche durch Unterlagen belegt werden können.
Es gelten ausschließlich die Angaben, welche in einem Kauf- Mietvertrag angegeben werden.
Objektnummer: 4778
Eckdaten:
Objektart:  | Grundstücke |
Grundstücksfläche m² ca.:  | 1571 |
kurzfristig bebaubar:  | Ja |
Erschliessungszustand:  | Voll erschlossen |
Region:  | Gyor-Moson-Sopron |